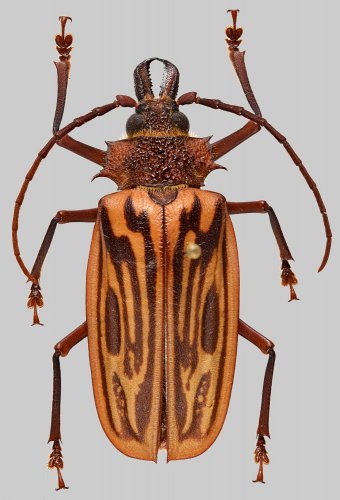
| Famille | Cerambycidae (Latreille, 1802) |
|---|---|
| Sous-famille | Prioninae (Latreille, 1802) |
| Tribu | Macrodontini (Thomson, 1860) |
| Genre | Macrodontia (Latreille, 1830) |
| Sous-genre | |
| espèce | jolyi (Bleuzen, 1994) |
| Synonymie | |
| autres noms | |
| zones de vie: | West hemisphere |
| Taille: | |
| cycle de vie: | |
| plante hôte: | |
| Distribution: | Venezuela |
| occurrence: |
|
| Type | Holotype |
|---|---|
| Musée | Venezuela Maracay - Museo del Instituto de Zoologia Agricola |
| Taille | 45 mm |
| Sex | Female |
Home