Se connecter

Prioninae du monde

English

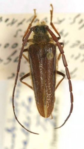
Andinotrichoderes pellitus (Tippmann, 1960)

Famille Cerambycidae (Latreille, 1802)
Sous-famille Prioninae (Latreille, 1802)
Tribu Meroscelisini (Thomson, 1860)
Genre Andinotrichoderes (Tippmann, 1960)
Sous-genre
espècepellitus (Tippmann, 1960)
Synonymie
autres nomsAndinotrichoderes pellita (Tippmann, 1960)
zones de vie:West hemisphere
Taille:
cycle de vie:
plante hôte:
Distribution:Pérou, Bolivie
occurrence:
  • I
  • II
  • III
  • IV
  • V
  • VI
  • VII
  • VIII
  • IX
  • X
  • XI
  • XII
TypeHolotype
MuséeÉtats-Unis Washington - National Museum of Natural History
Taille
SexMale